El número de muertos por el huracán Helene sube a 43
La devastación tras el el huracán Helene se extiende en el sur de Estados Unidos, con 17 víctimas en Carolina del Sur, 15 en Georgia, 9 en Florida y 2 en Carolina del Norte. La catástrofe deja a millones sin electricidad, a miles sin hogar y los esfuerzos de rescate continúan.
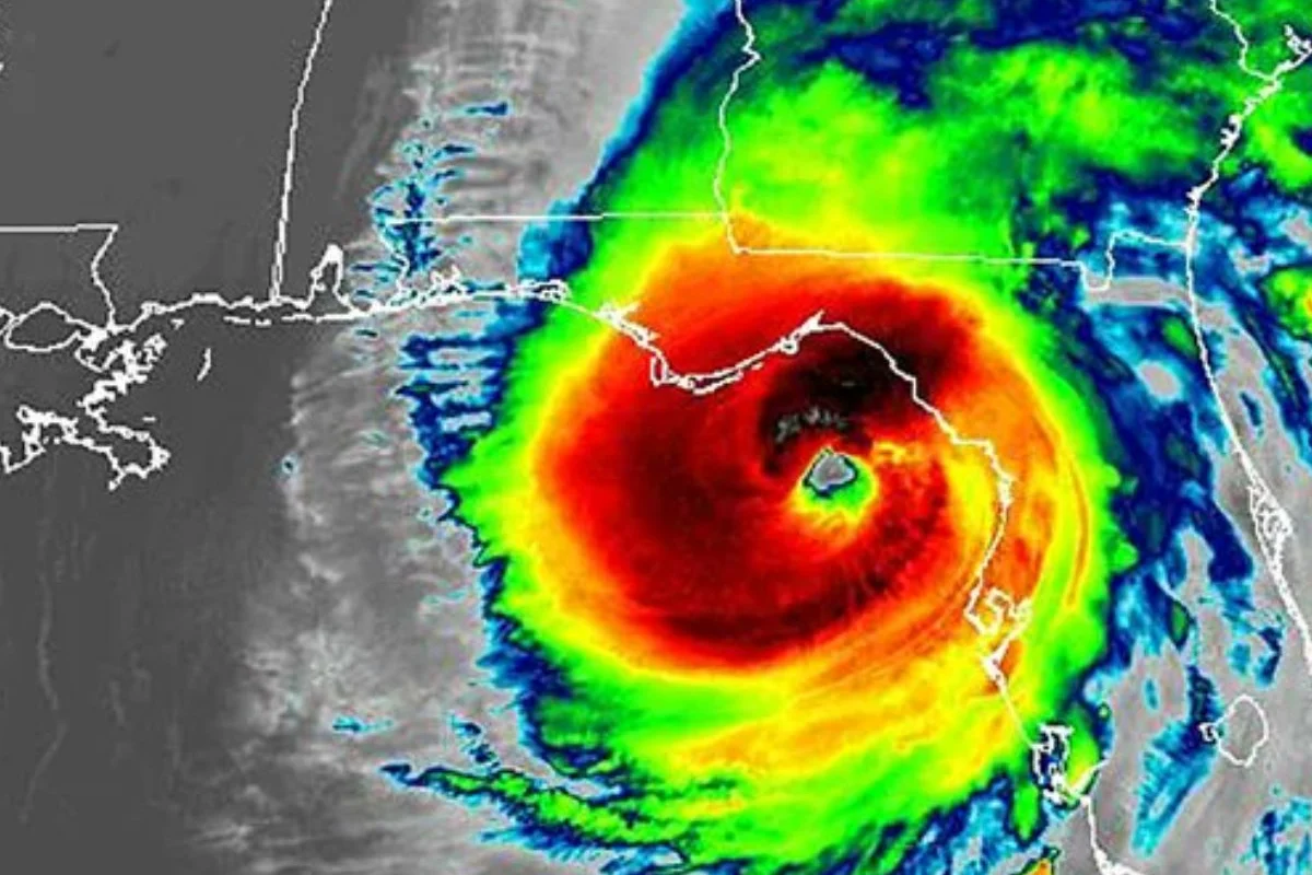
Partes de la costa del Golfo de Florida continúan bajo agua y las autoridades advierten de que las inundaciones catastróficas se han extendido hasta las montañas Apalaches.

Hasta el mediodía de la costa este, más de 4,3 millones de clientes estaban sin servicio eléctrico desde Florida hasta Virginia. Después de tocar tierra floridana como un huracán de categoría 4, Helene se debilitó y pasó a ser nuevamente una tormenta tropical, que ahora se dirige hacia el noreste del país. El ciclón causó inundaciones catastróficas en la costa del Golfo de Florida y sus intensos vientos arrancaron árboles, postes eléctricos y tejados, dejando tras de sí escenas de destrucción y desesperación.
Te puede interesar: https://diariodelpais.com/sigmund-freund-recibe-junta-directiva-de-adru/
Las labores de rescate siguen en medio de inundaciones catastróficas y caminos destruidos. Más de cuatro millones de hogares y negocios en Florida, Georgia, las Carolinas y otros estados del sureste de Estados Unidos se quedaron sin electricidad, según el sitio web de seguimiento Poweroutage.us.
La policía y los bomberos llevaron a cabo cientos de rescates acuáticos en todos los estados, incluso en zonas tan al norte como Atlanta, donde un complejo de apartamentos tuvo que ser evacuado debido a las inundaciones.